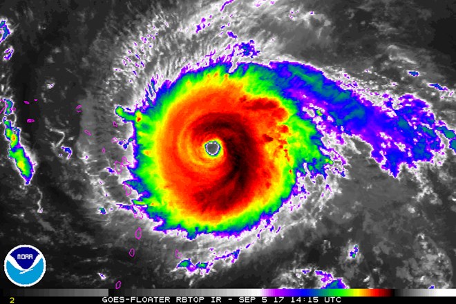
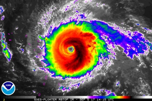
Siêu bão Irma phá hủy gần như hoàn toàn nhiều hòn đảo ở Caribe
Bị phá hủy gần như hoàn toàn, một số hòn đảo ở Caribe có thể sẽ không thể sinh sống được sau khi siêu bão cấp 5 Irma - mạnh nhất Đại Tây Dương từ trước đến nay - đổ bộ vào rạng sáng ngày 06/9.
- Khi Nhật Bản đáp trả Trung Quốc bằng trận địa tên lửa (25/11)
- Tổng thống Ukraine khẳng định sẽ thảo luận với ông Trump về kế hoạch 28 điểm (25/11)
- Ukraine trình làng tên lửa FP-7 và FP-9 mô phỏng S-400 của Nga (25/11)
- EU hỗ trợ Việt Nam 850.000 euro để khắc phục hậu quả lũ lụt (25/11)
- Hàn Quốc cam kết nối lại đối thoại với Triều Tiên (24/11)
- Mỹ và Ukraine ra tuyên bố chung, cam kết thúc đẩy nền hòa bình bền vững (24/11)
- Hezbollah xác nhận thủ lĩnh quân sự thiệt mạng do đòn không kích của Israel (24/11)
- Hàng chục người thương vong trong cuộc không kích của Israel ở Gaza (23/11)
-
Israel tấn công kho vũ khí và cơ sở ngầm của Hezbollah ở Liban
- Xung đột Hamas-Israel: Israel ra điều kiện về thỏa thuận toàn diện với Hamas
- Mỹ điều 2 tàu ngầm hạt nhân đến khu vực gần Nga
- Triều Tiên phản đối các cuộc tập trận chung Mỹ-Nhật-Hàn
- Quân đội Israel đánh chặn một quả tên lửa được phóng từ Yemen
- Tổng thống Nga Putin khẳng định sẵn sàng nối lại đàm phán với Ukraine
- Mỹ chính thức tham chiến, cuộc xung đột Israel - Iran sẽ đi về đâu?
- Nga nêu điều kiện để Tổng thống Putin gặp Tổng thống Zelensky
- Những kỳ vọng lớn lao từ chuyến thăm của Tổng Bí thư Tô Lâm tại Liên bang Nga
- Pakistan phát động chiến dịch quân sự quy mô lớn đáp trả Ấn Độ
-
Quân đội Israel tấn công các mục tiêu Hamas tại Gaza
- Thỏa thuận hòa bình cho Ukraine có thể được nhất trí ngay trong tháng 11
- Ukraine nhận thêm các cam kết hỗ trợ quân sự mới từ Mỹ và châu Âu
- Căng thẳng leo thang ở Gaza giữa tranh cãi vi phạm thỏa thuận ngừng bắn
- Mất điện diện rộng ở Nga do UAV Ukraine tấn công
- Ukraine thúc giục EU sớm ra quyết định về tài sản Nga bị đóng băng
- Mỹ xác nhận thông tin về kế hoạch hòa bình cho cuộc xung đột Nga-Ukraine
- Gần 320 triệu người trên thế giới sẽ đối mặt nạn đói nghiêm trọng trong năm 2026
- Mỹ và Ukraine ra tuyên bố chung, cam kết thúc đẩy nền hòa bình bền vững
- Tổng thống Mỹ Trump muốn chấm dứt xung đột tại Ukraine 'càng sớm càng tốt'

