The Indonesian Palm Oil Association (GAPKI) revised its annual forecast from 53.63 million tonnes to 56–57 million tonnes. A production level of 57 million tonnes would represent an 8% increase over 2024.
-
Malaysia calls for stronger APEC cooperation in food security
Malaysia has called for stronger efforts and cooperation in food security among the Asia-Pacific Economic Cooperation (APEC) countries to face post-COVID-19 challenges.
-
Cambodia approves electricity projects worth 830 million USD
The Cambodian government has approved more than 830 million USD worth of electricity infrastructure projects, which consist of a 150MW hydropower dam, a 265MW coal-fired power station, and three transmission lines.
-
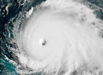
Typhoon Molave lashes Philippines’ Luzon island, 12 fishermen missing
Typhoon Molave lashed the southern part of the Philippines’ main Luzon island overnight on October 25, dumping heavy rains, toppling power lines and leaving at least 12 fishermen missing, disaster officials said.
-
Philippines evacuates nearly 1,800 people as tropical storm Molave is coming
The Philippines evacuated nearly 1,800 people and suspended sea travel as tropical storm Molave was expected to bring widespread rains over two regions on the southern part of the main island of Luzon on October 25.
-
Death toll from flooding in Cambodia rises to 39
The Cambodian National Committee for Disaster Management (NCDM) has reported that the ongoing floods have so far killed 39 people, with 22 in Banteay Meanchey province.
-
China, Mekong River Commission sign hydrological data provision agreement
China and the Mekong River Commission on October 22 signed an agreement under which China will provide the MRC with year-round hydrological data.
-
ASEAN, UN officials gather at ministerial meeting
Deputy Prime Minister and Foreign Minister Pham Binh Minh chaired the online ASEAN-United Nations Ministerial Meeting on October 21 with the participation of ASEAN foreign ministers.
-
ASEAN-China Young Leaders Scholarship 2020 launched
The ASEAN-China Young Leaders Scholarship 2020 was launched at a virtual ceremony on October 20.
-
Cambodia: Flooding forces 40 garment factories to suspend operations
Seventy-nine garment factories in Kampong Speu and Kandal provinces and Phnom Penh have been affected by flooding, and at least 40 of them have temporarily suspended their operations.
-
US grants 100,000 USD in aid for Cambodia’s response to widespread flooding
The US, through the US Agency for International Development, has provided 100,000 USD in immediate humanitarian aid supporting response efforts to severe flooding in Cambodia.
-
Vietnam calls for international support for South Sudan
Vietnamese Ambassador Dang Dinh Quy, Head of the Vietnamese mission to the UN, voiced his hope that the UN, regional organisations and international partners continue support for South Sudan.
-
Cambodia: Flood death toll rises to 18
Floods in Cambodia have so far left 18 people dead, including eight children, and forced the evacuation of 25,192 people, according to the National Committee for Disaster Management.
-
Indonesia’s palm oil production set to rise 10% in 2025
- Timor-Leste seeks trade & investment expansion following ASEAN accession
- Vietnam to supply rice seeds for Cuba’s 2026 crop
- RoK, Cambodia agree to set up task force to combat online scams
- Cambodia officially inaugurates Techo International Airport
- Thailand clamps down on overseas text messages
- Cambodia launches national campaigns to prevent school dropouts
- ASEAN strengthens regional cooperation on energy transition
- Indonesia to stop diesel imports by 2026
- Singapore’s economy grows faster than expected
