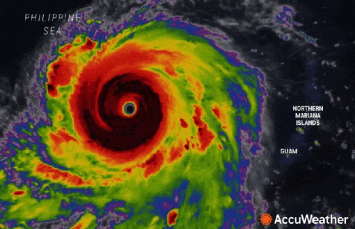
Siêu bão Mawar nhăm nhe ập vào Philippines, Nhật Bản và Trung Quốc
Trang AccuWeather dự báo siêu bão Mawar có thể tăng cường sức mạnh và đổ bộ Philippines, Nhật Bản và (Đài Loan) Trung Quốc ngày 28/5.
- Vì hành trình thoát nghèo bền vững (14/11)
- Cô giáo sáng tạo, dám nghĩ, dám làm (14/11)
- Xã Châu Thành: Cây xanh ven đường chết bất thường sau khi chính quyền từ chối cho chặt hạ (14/11)
- Chủ động ứng phó với mùa nước nổi (14/11)
- Xã Nhơn Hòa Lập: Khánh thành công trình Đèn ánh sáng an ninh trật tự và thăm gia đình chính sách (14/11)
- Tây Ninh: Kịp thời xử lý an toàn tổ ong vò vẽ lớn trong khu dân cư (14/11)
- Giông, lốc xoáy, mưa lớn diễn biến phức tạp (14/11)
- Thời tiết hôm nay 14/11: Nhiệt độ miền Bắc giảm sâu do không khí lạnh, miền Trung mưa to dài ngày (14/11)
-
Tìm người thân cho trẻ bị bỏ rơi đang điều trị tại Bệnh viện Đa khoa Long An
- Điều tra vụ án nữ chủ quán cà phê bị đâm tử vong, nghi phạm nhảy lầu tự tử
- Quỹ tín dụng nhân dân góp phần tích cực vào công cuộc giảm nghèo
- Bão số 2 mạnh lên cấp 11, giật cấp 13
- Lịch tạm ngừng cung cấp điện từ ngày 28/6 - 04/7/2025
- Đừng để con 'vùi đầu' vào game online
- Lịch tạm ngừng cung cấp điện từ ngày 21/6 - 27/6/2025
- Tài xế taxi hoàn trả 240 triệu đồng cho khách chuyển khoản nhầm
- Lịch tạm ngừng cung cấp điện từ ngày 14/6 - 20/6/2025
- Để trẻ có mùa hè thú vị
-
Cả hệ thống chính trị và Nhân dân Tây Ninh đồng lòng vượt lũ
- Sức mạnh 'mềm' trong xây dựng nông thôn mới
- Người 'thắp lửa' văn nghệ cho lính
- Xã Bình Thành: Lực lượng dân quân tiếp tục hỗ trợ Nhân dân gia cố đê bao ngăn lũ
- Tuyên truyền pháp luật về phòng cháy, chữa cháy tại chợ Tân Biên
- Hội Chữ thập đỏ tỉnh Tây Ninh: Hơn 40 tỉ đồng chăm lo cho người yếu thế
- Đồn Biên phòng Sông Trăng bàn giao cá sấu nặng 37kg cho lực lượng kiểm lâm
- Tây Ninh: Mực nước sông vượt báo động III, nguy cơ ngập sâu, sạt lở, vỡ đê tại nhiều vùng trũng, thấp
- Sáng, xanh, sạch, đẹp từ tuyến đường kiểu mẫu
- Gương mẫu, trách nhiệm với công việc
Siêu bão Mawar nhăm nhe ập vào Philippines, Nhật Bản và Trung Quốc. Ảnh: AccuWeather
